iBerkshires     Berkshire Chamber     MCLA     City Statistics    
North Adams Council Accepts Land for Bike Path
By Tammy Daniels, iBerkshires Staff
12:51AM / Thursday, November 16, 2017
Print | Email  

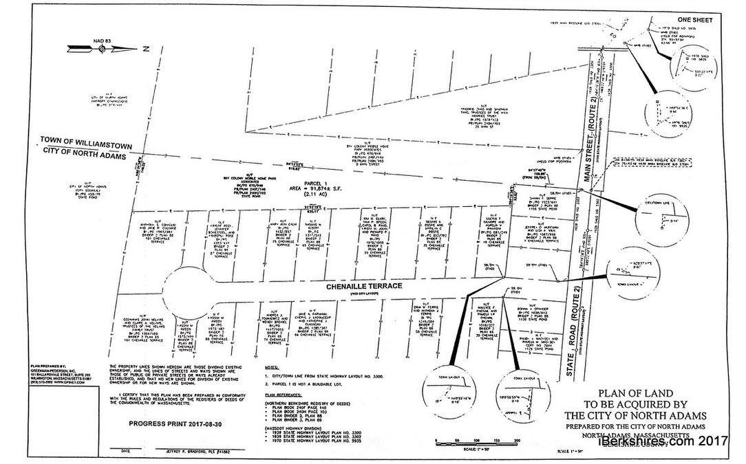
The parcel in question runs along the town and city line.
NORTH ADAMS, Mass. — The City Council's acceptance of a land donation on Tuesday clears the way for the Mohawk Bike Path to run from Williamstown to Harriman & West Airport.
 
The city is planning to piggyback the 1-mile section in North Adams informally named for the late state Rep. Gailanne Cariddi, a longtime bike path proponent, onto the 2.5-mile route in Williamstown to tap into soon-to-expire federal scenic byway money.
 
"With the acceptance of this gift of land, we will be able to move this project side-by-side with Williamstown and take advantage of this funded MassDOT project," Mayor Richard Alcombright read from his communication to the council. "This will give the city a bike path destination ... the 'Cariddi Mile' ... from the airport to The Spruces."
 
The 9.6-acre lot is owned by Bay Colony LLC, former owner of what had been the Spruces Mobile Home Park across Route 2 in Williamstown. The bike path will start at Simonds Road (Route 7) and cross through The Spruces to end near Galvin Road. The $4.9 million project is being funded by the state Department of Transportation through the county's 2017 Transportation Improvement Program.
 
Both Williamstown and the city had to accept the donation of land that straddles the city line because the path will cross over that line.  A special town meeting in Williamstown accepted the town's portion of the lot by voice vote on Tuesday night as well. 
 
"This gift of land is making this whole project possible," said City Councilor Joshua Moran, who has been involved in the project the past year. "We've exhausted efforts along the river, along the railroad ... so currently it's this gift of land we'll be accepting that will allow us to utilize that Williamstown and North Adams funding from MassDOT."
 
The 25 percent design hearing for the Williamstown section was held on Nov. 1; the mayor anticipated the city's 25 percent design to be reached in January. The project is expected to go out to bid by the end of 2018 and the two-year construction to start sometime in 2019.
 
"This was kind of the crux and it came together nicely," said Moran. "We're kind of right in step and I think a big piece of this is not to fall behind the Williamstown design."
 
The bike path has generally sailed through the process in Williamstown, where it will through largely town or Williams College-owned land. In North Adams, however, the bike path has run into significant challenges in weaving through the densely populated West End.
 
Plans to run the trail from the airport east to Massachusetts Museum of Contemporary Art -- which constructed a bike tunnel and bridge to bring it through the campus -- were halted when a path forward could not be found through the Greylock neighborhood. Clearances and grades have precluded efforts to run it along the rail line or Hoosic River. 
 
This more recent truncated version will bring one mile into the city with an easily accessible terminus at the airport. But it, too, has been fiercely opposed by homeowners on Chenaille Terrace. The parcel is just west of the quiet cul-de-sac and its residents fear intrusion into their privacy. 
 
"I empathize with that but we're making every single reasonable accommodation," said the mayor, of the road's residents. Engineers have moved the route farther west and south to keep it away from back yards. "MassDOT has given us whole bunch of different options for screening, whether that be fencing, hard screening or landscape like shrubbery or different plantings so I think we're in good shape." 
 
Alcombright said he begun talks with Lynn Fusco, president of Fusco Group, Bay Colony's parent, nearly two years ago. 
 
"The first thing she said was, 'let's see if we can make this happen for the community,'" the mayor said.
 
He also credited Moran and City Planner Larysa Bernstein for their help with the project along with other city partners. 
 
The land was accepted unanimously with City Councilor Wayne Wilkinson abstaining because of a business conflict of interest.
 
In other business:
 
James Morocco was  reappointed to the Mobile Home Rent Control Board with a term to expire Oct. 1, 2022. 
 
• A new compensation and classification plan for firefighters, police and non-union workers in those departments was approved. Both the firefighters and police settled three-year contracts this year. Firefighters will receive a 1 percent cost-of-living raise retroactive to July 1 and 1 percent on Jan. 1 of each of the next years of the contract. They also will get reimbursement for dress uniforms over three years, an adjustment to sick leave buyback and a $500 stipend for hazmat, rescue and emergency medical technician certifications.
 
Police get a 2 percent COLA, retroactive to July 1, and 2 percent in each succeeding year on Jan. 1; also a stipend for EMT certification and reimbursement for promotional exam costs. The nonunion workers get 1 percent COLA back to July 1 and again on Jan. 1. 
 
• A resolution on becoming a pollinator-friendly community was delayed to Dec. 12. 
 
More Featured Stories
NorthAdams.com is owned and operated by: Boxcar Media 102 Main Sreet, North Adams, MA 01247 -- T. 413-663-3384
© 2011 Boxcar Media LLC - All rights reserved